AI Northside & AI Norco Industrial Parks | Nampa, Idaho
Property Information
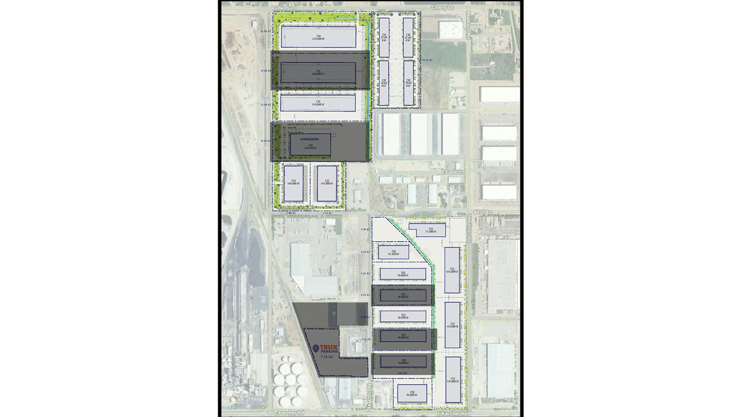
Build To Suit +/- 205 Acres, Divisible down to 4 Acres
Take a jump and add your next space to the popular AI Northside and AI Norco Industrial Parks located in Nampa, Idaho. There are existing builds and vacant land all calling your name. Call to get more information and take your ideas and make them a reality!
Highlights
Status: Build-to-Suit For Lease
TYPE:
SQ. FT. FOR LEASE:
BUILDING SIZE:
LOT SIZE: 204.53 acres
ZONING: Mixed
YEAR BUILT: Various



