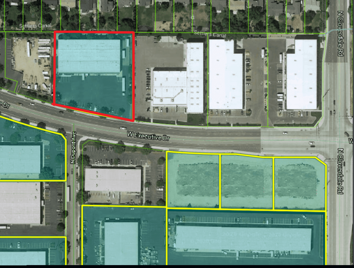
12450 W. Executive Dr. | Boise, Idaho
Property Information
26,400 SF Industrial Warehouse/ Flex space.
Year Built: 2005
Land Area: 1.84 Acres
Parking: 1.36/1,000 SF (Striped Stalls)
Construction Type: Concrete Tilt-Up
Zoning: M-1D - Limited industrial
Highlights
Status: Current Holdings
TYPE: Concrete Tilt
SQ. FT. FOR LEASE:
BUILDING SIZE: 26400 sq ft
LOT SIZE: 1.84 acres
ZONING: M-1D - Limited Industrial
YEAR BUILT: 2005



